Pacific Willow

Other Names: pacific willow, greenleaf willow
Family: Salicaceae
Native to: Eastern North America, Interior North America, Western North America
Eco benefits: attracts pollinators, erosion control
Natural habitat: waters edge, hillsides & uplands, floodplains, dunes
Shapes: multi-stemmed, clump
Height: up to 65ft
Growth rate: fast
Common uses: naturalized plantings
Light: full sun, partial shade
Transplanting: easy
Soil: moist and fertile, tolerates wet feet, wet, sandy
Pacific willow is a full sized tree reaching 2ft in trunk diameter but shrub sized at higher elevations. It is the tallest native willow species of willow in British Columbia. Habitats include sandbars, gravel, sandy or silty soil, growing alongside red alder and black cottonwood.
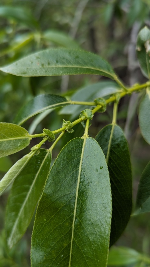
Bark is smooth when young and shallow in thickness. Young growth is red to yellowish brown and hairy, becoming smooth and green with age; the twigs being relatively stout. As the tree matures, its bark becomes darker and vertically ridged. Leaves are lance shaped and very finely toothed; older leaves are smooth. Two or more glands at the leaf base are an identifying feature of the species. Male and female catkins are long and thick. The females produce light, fluffy seeds, dispersed by wind or water.
Pacific willow is planted for erosion control to stabilize river banks and is a food source for beaver, deer, and elk. Used by Native Americans, and like all willows, the twigs produce salicylic acid (asprin) which can be used for medicine.
References
Fryer, J. (2015). Salix lucida, shining willow. In: Fire Effects Information System. U.S. Department of Agriculture, Forest Service. https://www.fs.fed.us/database/feis/plants/tree/salluc/all.html
Labbe, J. (1998). Salix lucida (ssp. lasiandra) - Pacific Willow. Retrieved from http://web.pdx.edu/~maserj/ESR410/SalixLucida.htm
Plants For A Future. (n.d.). Salix lucida - Muhl. Retrieved from https://pfaf.org/user/Plant.aspx?LatinName=Salix+lucida
United States Department of Agriculture. (n.d.). Salix lucida Muhl. shining willow. Retrieved from https://plants.usda.gov/core/profile?symbol=SALU